![]() |
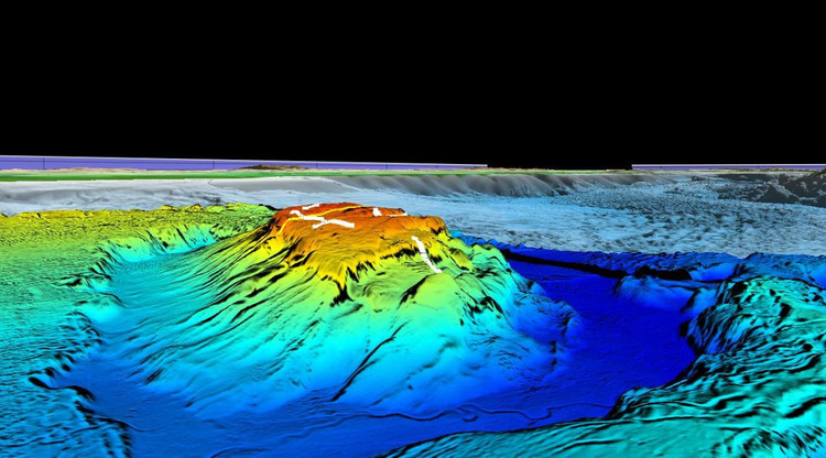
| Đó là một hẻm núi ngầm được hình thành khoảng 6 triệu năm trước. |
![]() |
| Các chuyên gia địa chất của Israel cho hay hẻm núi ngầm khổng lồ bị chôn vùi, chưa từng được biết đến. Họ đặt tên cho nó là Hẻm núi Eratosthenes. |
![]() |
| Hẻm núi Eratosthenes nằm ở vùng sâu của lưu vực Levant gần ngọn núi ngầm Eratosthenes, cách quốc đảo Síp khoảng 120 km về phía nam và cách bờ biển phía tây của Israel 250 km về phía tây bắc. |
![]() |
| Theo các chuyên gia, hẻm núi Eratosthenes bắt nguồn từ dưới nước trong niên đại địa chất Messinian. Sự hình thành của hẻm núi khổng lồ này được họ tin rằng có liên quan trực tiếp đến sự khởi đầu của Cuộc khủng hoảng độ mặn Messinian. |
![]() |
| Đây là một sự kiện có ý nghĩa địa chất đặc trưng bởi sự gia tăng mạnh về độ mặn của biển Địa Trung Hải diễn ra vào khoảng 5,6 triệu năm trước. |
![]() |
| Các nhà khoa học tại Cơ quan Khảo sát Địa chất Israel (GSI) đưa ra giả thuyết các dòng trọng lực dày đặc đóng vai trò quan trọng trong việc hình thành các đặc điểm của hẻm núi Eratosthenes dưới đáy biển. |
![]() |
| Những dòng hải lưu trên được thúc đẩy bởi sự khác biệt về mật độ giữa nước biển và nước mặn Địa Trung Hải từ đó tạo ra hiệu ứng xói mòn dưới đáy biển, đường nứt sâu và rộng gọi là hẻm núi. |
![]() |
| Phát hiện trên giúp giới khoa học giải mã các điều kiện môi trường đặc trưng bởi độ mặn tăng cao ở các lưu vực sâu hơn ở Địa Trung Hải trước khi Cuộc khủng hoảng độ mặn Messinian lên đến đỉnh điểm. Đồng thời, họ có những hiểu biết về các thay đổi sinh thái xảy ra trong giai đoạn lịch sử trên và sự biến đổi sau đó của khu vực Địa Trung Hải. |
![]() |
| Trong Cuộc khủng hoảng độ mặn Messinian, Địa Trung Hải đã khô cạn và mất kết nối với các đại dương trên Trái đất. Theo đó, sau một thời gian dài, nơi đây có lớp muối sâu hàng km do nước biển bốc hơi để lại. |
| |
Mời độc giả xem video: Nổi da gà khi thấy sinh vật lạ biết “nhảy múa” dưới biển.








