![]() |
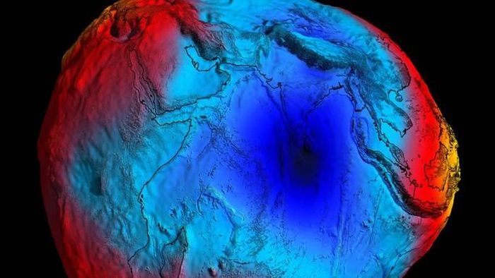
| "Lỗ đen" bí ẩn này thực chất là "Vùng trọng trường thấp Ấn Độ Dương" (IOGL), đây là một vùng trũng khổng lồ nơi trọng lực Trái Đất thấp hơn rất nhiều so với mức trung bình. |
![]() |
| Nhóm khoa học từ Viện Khoa học Ấn Độ đã tìm ra giải thích cho hiện tượng này. Theo họ, "lỗ hổng trọng lực" này được tạo thành từ các chùm magma đến từ sâu bên trong hành tinh, vây bọc xung quanh lỗ hổng trọng lực. |
![]() |
| Điều này đã dẫn đến hình thành một vùng trũng hình tròn bắt đầu từ mũi phía nam của Ấn Độ, với diện tích khoảng 3 triệu km2. |
![]() |
| Vùng này giữ ít nước hơn các khu vực khác của đại dương, dẫn đến mực nước biển thấp hơn mức trung bình toàn cầu khoảng hơn 100m. |
![]() |
| Các chùm magma đã tiết lộ một lớp bí ẩn của một đại dương đã mất, từng nằm giữa Ấn Độ và phần còn lại của châu Á. |
![]() |
| Khoảng 140 triệu năm trước, mảng kiến tạo Ấn Độ dần trôi dạt và va chạm, nối liền với mảng kiến tạo châu Á, tạo nên một lục địa to lớn như ngày nay. |
![]() |
| Quá trình này khiến đại dương giữa hai mảng chìm sâu vào lớp phủ, và khi mảng Ấn Độ va chạm với mảng Á - Âu, vỉa của đại dương này đã bị hút chìm vào trong lớp phủ, khuấy động một vùng magma nóng bên dưới khu vực phía đông châu Phi. |
![]() |
| Từ đó, các chùm magma được hình thành, tạo ra các vùng có vật chất mật độ thấp đến gần bề mặt Trái Đất, gây ra sự dị thường hấp dẫn và hình thành "lỗ hổng trọng lực". |
![]() |
| Tuy nhiên, vẫn còn nhiều yếu tố chưa được khám phá và không có bằng chứng địa chấn rõ ràng nào cho thấy các chùm magma mô phỏng thực sự có hiện diện ở dưới Ấn Độ Dương. |
![]() |
| Các nhà khoa học vẫn tiếp tục nghiên cứu để hiểu rõ hơn về hiện tượng này và tác động của nó lên hành tinh Trái Đất. |
| |
Mời quý độc giả xem thêm video: Những bí ẩn dưới đáy đại dương chưa từng được tiết lộ.









