Thời sự

Cựu thủy thủ tàu ngầm Mỹ nói gì về vụ va chạm của USS Connecticut trên Biển Đông ?

Theo thông tin từ báo chí, phần mũi của tàu ngầm hạt nhân USS Connecticut đã bị hư hại nghiêm trọng sau khi va chạm với một vật thể không xác định trên Biển Đông. 11 thủy thủ bị thương, nhưng con tàu vẫn có thể tự quay về căn cứ Guam để sửa chữa.

Trong số các phiên bản khác của vụ việc, giải thích nguyên nhân vụ va chạm của tàu ngầm hạt nhân do đâm phải các chướng ngại vật dưới nước do Trung Quốc đặt ngầm dưới Biển Đông  để chống lại các cuộc xâm nhập bí mật... cũng được xem xét.

Trang Drive đã có cuộc phỏng vấn Aaron Amik, cựu thủy thủ tàu ngầm, trắc thủ sonar trên tàu ngầm trong hơn 20 năm về những nguyên nhân có thể gây ra vụ tai nạn.

Điều hướng tàu ngầm yêu cầu kiến ​​thức rất chi tiết về khu vực xung quanh ngay lập tức. Có hai phương pháp phổ biến để đạt được điều hướng an toàn trong trạng thái lặn: là Bản đồ chi tiết và sử dụng sonar tần số cao chủ động.

Bản đồ có độ chính xác cao luôn là lựa chọn hàng đầu. Hệ thống truyền sóng sonar chủ động được sử dụng để xác nhận việc kiểm tra độ sâu của nước với bản đồ.

Trên các tàu ngầm hiện đại, xung sonar chủ động này có thể được truyền về phía trước và sang hai bên. Hệ thống sonar tần số cao, tầm ngắn này "nhìn" các vật thể dưới nước gần đó với độ rõ nét cao.

Các vật thể chìm, chẳng hạn như mìn, xác tàu và các tàu ngầm khác có thể nhìn thấy rõ ràng đối với trắc thủ điều khiển sonar được đào tạo và có kinh nghiệm.

Nhược điểm của việc sử dụng sonar chủ động là có thể bị kẻ thù phát hiện trên phạm vi xấp xỉ hai lần khoảng cách mà sonar có thể tìm kiếm, trong môi trường đại dương.

Trắc thủ sonar trên tàu ngầm Mỹ

Một sonar tần số cao, độ phân giải cao điển hình có thể nhìn xa tới 5.000 thước Anh, và có thể bị phát hiện ở phạm vi ít nhất 10.000 thước Anh hoặc xa hơn trong điều kiện tốt.

Điều đó có nghĩa, kẻ thù có thể xác định vị trí của tàu ngầm và có thể bám theo tàu ngầm sonar phát xung chủ động mà không bị phát hiện.

Bản đồ cũng không hoàn hảo. Mặc dù thực tế các chỉ huy tàu ngầm có sẵn những bản đồ dưới đáy biển chính xác nhất, vẫn có những "điểm trắng" ở các khu vực khác nhau của đại dương trên thế giới - những khoảng trống giữa các vùng thủy âm.

Những khoảng mù này có thể che giấu những vật thể có thể gây ra va chạm cho tàu ngầm.

Khi tàu ngầm hoạt động trong khu vực có thể có tàu đối phương (Biển Đông là khu vực như vậy), tàu sẽ tránh sử dụng radar, mà chủ yếu dựa vào các kết quả đo gia tốc kế, tương tự như tên lửa đạn đạo đang bay.

Cựu thủy thủ Amik thừa nhận đây là một phương pháp khá chính xác, nhưng cũng có sai sót. Theo thời gian, độ sai lệch tăng lên, có thể lên đến hàng trăm mét.

Có nhiều phương pháp để xác định vị trí của tàu mà không cần bật sonar. Nhưng những cách này không giúp ích cho việc phát hiện những vật thể ở gần con tàu.

Va chạm giữa các tàu ngầm ở Biển Đông là một nguy cơ rất thực tế. Vùng nước này có nhiều quốc gia khai thác sử dụng các tàu ngầm năng lượng hạt nhân và thông thường.

Trung Quốc có căn cứ tàu ngầm lớn nhất ở châu Á, Căn cứ Hải quân Yulin trên Biển Đông. Bất cứ lúc nào cũng có nhiều tàu ngầm hoạt động trong khu vực.

Nguy cơ va chạm ở Biển Đông cao hơn các nơi khác, vì đây là khu vực có nhiều tàu biển. Lưu lượng tàu trên biển cao khiến sonar thụ động không hiệu quả.

Các tàu ngầm sử dụng các khu vực thủy âm ồn ào để ẩn nấp khỏi sự phát hiện kẻ thù, nhưng vì thế đồng thời tàu ngầm cũng tự di chuyển "trong vùng mù".

Hai tàu ngầm có thể ở gần nhau, nhưng sẽ không nhận thấy nhau nếu tiếng ồn xung quanh đủ lớn - cựu thủy thủ tàu ngầm nói tiếp.

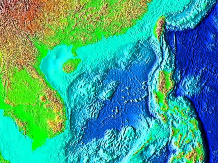
Địa hình Biển Đông giản lược

Một vấn đề khác của Biển Đông là hoạt động kiến ​​tạo cao và địa hình đáy biển rất phức tạp. Do đó rất khó định hướng.

Đáy biển luôn trong trạng thái thay đổi. Một số khu vực đáy Biển Đông rất sâu, nhưng lại có những thay đổi đột ngột từ rất sâu đến rất nông, các cấu trúc gần giống như thẳng đứng trồi lên bề mặt đáy biển.

Những hình tháp nhọn này là mối nguy hiểm khi điều hướng. Và nếu không phát hiện kịp thời có thể dẫn đến va chạm dưới nước.

Việc đo độ sâu đáy bên dưới tàu ngầm có thể không đủ thời gian để chuyển hướng khỏi sự thay đổi địa hình gần như thẳng đứng ngay phía trước mũi tàu.

Quy trình tiêu chuẩn trong một vụ va chạm khi đang hoạt động dưới nước, là ngay lập tức di chuyển lên nông và duy trì lực nổi tích cực trên phía mũi.

Báo động va chạm được phát ra. Lập tức báo cáo với các trạm kiểm soát thiệt hại xác định được với thiết bị cầm tay.

Các thông báo được thực hiện trên mạch truyền thông 1MC (thông tin nội bộ), báo cáo hư hỏng cho Trung tâm Kiểm soát Thiệt hại (DC Central).

Thủy thủ đoàn sẽ phải xử lý ngậm nước hoặc hỏa hoạn do va chạm, và được điều phối bởi người phụ trách tại DC Central.

Mối quan tâm lớn nhất, sau an toàn của thủy thủ đoàn là trạm điện hạt nhân.

Thủy thủ đoàn thực hiện các hoạt động đảm bảo an toàn cho trạm nguồn hạt nhân và sẽ được kiểm tra ngay lập tức.

Các máy bơm và van phục vụ các hệ thống áp suất cao, nhiệt độ cao rất vững chắc và được thiết kế để chịu va đập. Nhưng việc kiểm tra được thực hiện trên mọi hệ thống trong phòng máy, để đảm bảo an toàn hạt nhân.

Khi tàu ngầm lên đến vùng nước nông, sĩ quan chỉ huy tàu sẽ xác định có an toàn để nổi lên mặt nước ngay lập tức hay không.

Nếu an toàn, tàu ngầm sẽ lên thẳng mặt nước và đánh giá tình hình. Tất cả hoạt động này diễn ra trong vài giây.

Nhận thức tình huống tốt là điều kiện tiên quyết ngăn chặn thương vong kép do va chạm một lần nữa với tàu nổi trên mặt nước.

Cựu thủy thủ Aaron Amik cho biết, tai nạn tàu ngầm hạt nhân Connecticut có thể sẽ khiến chỉ huy tàu phải trả giá.

Theo thông lệ được áp dụng trong Hải quân Mỹ, sau tình huống khẩn cấp như vậy, chỉ huy trưởng lập tức bị miễn trừ quyền lãnh đạo tàu, vị trí của anh ta sẽ do một sĩ quan có năng lực từ sở chỉ huy hải đoàn đảm nhiệm.

Những người phạm lỗi cụ thể sẽ được xác định bằng một cuộc điều tra. Những người lái tàu, trợ lý điều hướng hoặc sĩ quan chỉ huy, quartermaster (sĩ quan cấp cao trên các chiến hạm của Mỹ) cũng sẽ bị tạm dừng thi hành nhiệm vụ để phục vụ điều tra.

Đời sống - Tri thức cuộc sống
back to top