Cơ quan Quản lý Thảm họa và Giảm thiểu Thiên tai Quốc gia Philippines cho biết cơn bão Kalmaegi đã ảnh hưởng đến hơn 2 triệu người dân tại quốc gia này.
Bão Ragasa đang tiến nhanh về phía Biển Đông, dự báo sẽ đạt cấp cực đại (cấp 17) khi tiến vào khu vực biển này gây sóng cao trên 10m, biển động dữ dội.
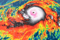
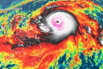
Bão Ragasa mới hình thành trên vùng biển phía Đông Philippines, dự báo có thể đạt cường độ cấp siêu bão có khả năng ảnh hưởng trực tiếp đến đất liền nước ta.
Tuyệt đối không cố ra ngoài lúc mưa to gió lớn khi hoàn lưu bão ảnh hưởng trực tiếp. Sau khi bão qua, nguy cơ lũ quét, sạt lở đất vẫn còn hiện hữu những ngày sau đó nên cần hết sức đề phòng.
Trong bối cảnh vẫn đang ‘lao đao’ vì đại djavascript:;ịch COVID-19, Ấn Độ tiếp tục phải căng mình chống chọi với một cơn bão rất mạnh đang quét qua vùng biển phía Tây nước này và khiến cho ít nhất 12 người thiệt mạng cùng hàng nghìn người phải sơ tán.
Surigae đã suy yếu nhanh xuống cấp 15, giật cấp 17, không còn mang đặc tính của một siêu bão. Cơn bão này rất ít khả năng đi vào Biển Đông và hầu như không ảnh hưởng đến nước ta.
Theo Trung tâm Dự báo Khí tượng Thủy văn Quốc gia, ngày 20/4, do ảnh hưởng của không khí lạnh kết hợp rìa xa phía Tây Bắc của hoàn lưu cơn bão Surigae nên ngày và đêm ngày 20/4 ở vùng biển phía Đông của khu vực Bắc Biển Đông có gió đông bắc mạnh cấp 6, có lúc cấp 7, giật cấp 8, biển động mạnh; sóng biển cao từ 2-4m. Cảnh báo cấp độ rủi ro thiên tai do gió mạnh trên biển là cấp 1.
Trước diễn biến phức tạp của bão Surigae, các tỉnh, thành phố từ Quảng Ninh đến Cà Mau được yêu cầu lên phương án ứng phó với trường hợp siêu bão đổi hướng vào Biển Đông.
Siêu bão Goni đang hoạt động phía đông Philippines và có thể vào biển Đông trong 24 đến 48 giờ tới. Các tỉnh, thành phố từ Thanh Hóa đến Khánh Hòa cần chủ động ứng phó.
(khoahocdoisong.vn) - Học sinh toàn tỉnh Thừa Thiên - Huế sẽ được nghỉ học tránh bão số 9 từ chiều ngày 27/10, còn học sinh tỉnh Phú Yên sẽ được nghỉ từ ngày 28/10.
(khoahocdoisong.vn) - Theo nhận định của các chuyên gia, mùa bão năm 2020 sẽ rất khó lường, với những dấu hiệu ban đầu là hiện tượng thời tiết, khí hậu bất thường như mưa to kèm giông lốc, mưa đá liên tục…
Tin từ Trung tâm khí tượng thủy văn Trung ương, hiện nay trên Biển Đông đang hình hành một cơn bão. Cơn bão mang tên Yutu được coi là một siêu bão với sức gió mạnh nhất vùng tâm bão khi bão Yutu tới quần đảo Hoàng Sa của Việt Nam lên tới 100-135km/giờ, gió giật cấp 15.