Hơn nửa thế kỷ gắn bó với khí tượng thủy văn, GS Trần Tân Tiến là người tiên phong xây dựng mô hình dự báo bão, lũ, mở đường cho cảnh báo sớm ở Việt Nam.
Hà Nội ghi nhận nhiệt độ cao nhất cả nước trên 38 độ C. Nhiệt độ thực tế ngoài trời, nhất là trên các tuyến đường nhựa có thể lên tới 45 - 50 độ C, thậm chí hơn 50 độ C. Ngày 20 - 21/6, tiếp tục nắng nóng.
(khoahocdoisong.vn) - Ngày 16/8/2021, Trung tâm Dự báo Khí tượng Thủy văn (KTTV) Quốc gia đã ban hành công văn số 436/DBQG về hiện tựợng Enso và nhận định xu thế khí tượng thủy văn từ tháng 9/2021 - 2/2022.
(khoahocdoisong.vn) - Liên hiệp các Hội Khoa học và Kỹ thuật Việt Nam (VUSTA) vừa phối hợp với Bộ TN&MT tổ chức thảo luận lấy ý kiến về “Đề án tăng cường sự lãnh đạo của Đảng trong công tác khí tượng thủy văn đáp ứng yêu cầu phát triển bền bững, bảo đảm quốc phòng, an ninh quốc gia”.
(khoahocdoisong.vn) - Trung tâm Dự báo Khí tượng Thủy văn Quốc gia, Tổng cục Khí tượng Thủy văn (KTTV), Bộ TN&MT vừa công bố đã hoàn thiện ứng dụng (app) dự báo thời tiết trên điện thoại thông minh có tên Thời tiết Việt Nam.
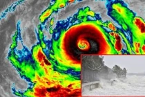
Chiều 23/10, ông Mai Văn Khiêm, Giám đốc Trung tâm Dự báo Khí tượng Thuỷ văn Quốc gia, trong khi cơn bão số 8 đang phức tạp trên biển Đông, khoảng 3-4 ngày tới, có thể xuất hiện một cơn bão số 9 với độ nguy hiểm dự báo mạnh hơn bão số 8.
Thủ tướng Nguyễn Xuân Phúc yêu cầu, đầu tư cho ngành khí tượng thủy văn cần đi trước một bước để cung cấp kịp thời, chính xác thông tin và luận cứ khoa học về khí tượng thủy văn.
(khoahocdoisong.vn) - Ngày 3/10, ngày truyền thống ngành Khí tượng thủy văn Việt Nam (3/10/1945 – 3/10/2020) lần đầu tiên được Tổng cục Khí tượng Thủy văn, Bộ TN&MT tổ chức.
(khoahocdoisong.vn) - Hai năm gần đây, Khoa Khí tượng Thủy văn và Hải dương học, Trường Đại học Khoa học Tự nhiên (Đại học Quốc gia Hà Nội) có ngành không tuyển được sinh viên. Nhà tuyển dụng về tận trường tìm nhân lực, nhưng không có sinh viên để tuyển dụng.
(khoahocdoisong.vn) - Năm 2020 dự báo sẽ có nhiều thiên tai phức tạp, hiện tượng thiên tai kép có thể xảy ra. Tổng cục Khí tượng Thủy văn (Bộ TN&MT) đã lên kế hoạch ứng phó.
(khoahocdoisong.vn) - Bộ Tài nguyên và Môi trường đã chấp thuận kế hoạch thanh tra, kiểm tra năm 2020 của các đơn vị trực thuộc Bộ về các lĩnh vực của ngành như đất đai, khoáng sản, tài nguyên nước, khí tượng thủy văn, biến đổi khí hậu.
(khoahocdoisong.vn) - 3 tân Giáo sư và 17 tân Phó Giáo sư liên ngành Khoa học Trái đất – Mỏ đã vinh dự nhận Giấy chứng nhận đạt tiêu chuẩn chức danh Giáo sư và Phó Giáo sư năm 2019.
(khoahocdoisong.vn) - Cùng với gió mùa đông bắc thì đợt không khí lạnh lần này sẽ kéo dài cho đến đầu tháng 12, nền nhiệt miền Bắc sẽ giảm mạnh, không còn nắng hanh.
(khoahocdoisong.vn) - Ngày 18/9 tại Tổng cục Khí tượng Thủy văn, Bộ TN&MT, 150 đại biểu là các nhà tài trợ, đối tác quốc tế đến từ đại diện các quốc gia phát triển, các tổ chức hàng đầu thế giới, các công ty đa quốc gia, các doanh nghiệp đối tác đã về dự Hội nghị các đối tác phát triển Ngành Khí tượng Thủy văn tại Việt Nam.
(khoahocdoisong.vn) - Quy định bắt buộc các công trình cầu, đường cao tốc, cảng thủy nội địa... phải quan trắc và cung cấp số liệu khí tượng thủy văn sẽ tăng mạng lưới quan trắc phục vụ cho dự báo.
Đợt nắng nóng này có khả năng kéo dài 2 - 3 ngày tới ở các tỉnh phía Đông Bắc Bộ; các tỉnh Trung Bộ nắng nóng có khả năng kéo dài trong nhiều ngày tới.
(khoahocdoisong.vn) - Dạng mưa được định nghĩa theo các đặc tính của mây mưa, nó đặc trưng cho tầng kết khí quyển và liên quan chặt chẽ đến hệ thống thời tiết.