Theo dự báo, mặc dù không chịu ảnh hưởng trực tiếp của hoàn lưu bão, nhưng các khu vực ở rìa xa hoàn lưu bão có thể xuất hiện mưa dông, lốc và gió giật mạnh.
Bộ GD&ĐT yêu cầu Giám đốc Sở GD&ĐT từ Quảng Ninh đến Bình Thuận thường xuyên theo dõi chặt chẽ diễn biến của bão, ứng trực 24/24h; thực hiện phương châm “bốn tại chỗ".
Bão Yinxing (bão số 7) dự báo sẽ suy yếu thành áp thấp nhiệt đới rồi tan dần trên khu vực Gia Lai - Bình Định, tuy nhiên, có thể xảy ra mưa lớn gây ngập úng.
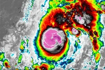
Theo Trung tâm Dự báo khí tượng thủy văn quốc gia, tâm bão số 7 đang cách quần đảo Hoàng Sa hơn 600km về phía đông, sức gió mạnh nhất vùng gần tâm bão mạnh cấp 14 giật cấp 17.
Theo Trung tâm Dự báo Khí tượng Thủy văn Quốc gia, sáng sớm nay (08/11), bão Yinxing đã đi vào vùng biển phía Đông của khu vực Bắc Biển Đông, trở thành cơn bão số 7 trong năm 2024.
Chiều 6/11, Bộ trưởng Bộ Nông nghiệp và Phát triển nông thôn vừa gửi công điện đến các cơ quan chức năng về việc ứng phó với bão YINXING gần biển Đông.
Áp thấp nhiệt đới ở phía Đông Philippines đã mạnh lên thành bão Yinxing, được nhận định sẽ tăng cấp nhanh chóng, nó sẽ trở thành cơn bão số 7 theo cách gọi của nước ta.
Bão số 7 sẽ đạt cường độ mạnh nhất trong hôm nay trước khi suy yếu rất nhanh do tương tác với không khí lạnh, khả năng tác động đến đất liền nước ta không lớn.
Do ảnh hưởng hoàn lưu bão số 7, trên địa bàn huyện Tiền Hải có mưa vừa đến mưa to. Tại khu vực bên trong đê biển số 5 trên sông Hồng đoạn chạy qua thôn Phương Giang (xã Nam Hồng, huyện Tiền Hải), chính quyền địa phương và người dân đã ghi nhận sự cố sụt lún, xói lở đất một đoạn dài khoảng 20m do ảnh hưởng của mưa bão.
Hồi 7 h ngày 10/10, vị trí tâm bão ở vào khoảng 20,5 độ vĩ Bắc; 108,2 độ kinh Đông, cách Hải Phòng khoảng 170km, cách Nam Định khoảng 190km, cách Thanh Hóa khoảng 260km. Sức gió mạnh nhất vùng gần tâm bão mạnh cấp 8 (60-75km/giờ), giật cấp 10. Bán kính gió mạnh từ cấp 6, giật từ cấp 8 khoảng 120km tính từ tâm bão.
Theo dự báo đêm nay, bộ phận không khí lạnh này sẽ ảnh hưởng đến các tỉnh phía Đông Bắc Bộ; sau đó ảnh hưởng đến các nơi khác ở Bắc Bộ và một số nơi ở Bắc Trung Bộ.
Theo dự báo, đến 7h ngày 10/10, vị trí tâm bão ở khoảng 20,2 độ vĩ Bắc; 108,1 độ kinh Đông, cách đảo Bạch Long Vĩ 70km về phía Đông Bắc. Sức gió mạnh nhất vùng gần tâm bão mạnh cấp 8-9 (60-90km/giờ), giật cấp 11.
Do ảnh hưởng của cơn bão số 7, sân bay Thọ Xuân và Vinh đã tạm đóng cửa trong chiều tối 14/10. Đường sắt, sau 1 tuần phải dừng chạy tàu qua khu vực miền Trung do mưa lũ, tới nay đã nối lại hoạt động, dù nhiều đoạn phải chạy chậm để đảm bảo an toàn.
Chiều 14/10, lực lượng cứu hộ đã đưa 19 người từ Thủy điện Rào Trăng 4 về bệnh viện, tìm thấy 1 thi thể công nhân Thủy điện Rào Trăng 3. Tại trạm kiểm lâm 67, nơi 13 người thuộc đoàn cứu hộ cứu nạn trước đó bị mất tích, các lực lượng sẽ tiếp tục tìm kiếm.
8 giờ sáng nay, 14-10, vị trí tâm bão ở ngay trên vùng biển các tỉnh từ Thái Bình đến Nghệ An. Sức gió mạnh nhất vùng gần tâm bão mạnh cấp 8 (60-75km/giờ), giật cấp 10.